| 2013/06/03 |
|
クーラーが重い!!わはは!! |
|
|
クーラーが重い!!わはは!!w
「明日は出船するよ〜!!」と一昨日、馴染みの船頭ビーチさんよりの連絡がありました。 小生は、てっきり「どうせ、こぎゃぁ〜ん雨降りだけん、明日は船はでらんバイ!!街に飲み行こ!!」とヨメと話していた最中の出来事でした。。。
然して、お酒も飲まずにトットと帰宅しまして、釣行準備と相成り下がりまして自宅酒に切り替えまして夜の9時には就寝いたしました。
夜3時に自宅から新港に向かう最中はやはり雨降りで「マジで出船デクッとや?」と訝しんでおりましたところ、さっさと馴染みの乗り合い船は出船したのでありました。。。
そしたラバ、なんと!!雨は降っておりましたが海はベタ凪ぎ、五目遠征 にしてはどえりゃぁ〜珍しい釣行でありました。
釣り場に行く船内のキャビンでは、小生より明らかに年上なオッサン達が朝の4時だといふのに酒盛りが始まって釣り場に着くときには出来上がっておりました。船上ではギャァ〜ギャ〜と騒いでおられました。。。苦笑 元気良すぎでした。w 大体、テンション上がり過ぎなんだもん。。。w
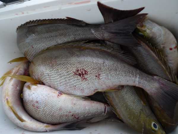
で、釣行と相成りましたがまさに「入れ食い!!」の状態でご覧の写真の様に小生の一人生け簀が見る間に「満員御礼!!」の状態に成り上がりました。
イサキがメインでしたが真鯛、ウスバカワハギ等のゲストも来まして大満足な釣行と相成りました。
馴染みの船頭ビーチさんの面目躍如と言ったところでしょうか?w
新品のクーラーが『こんなに重たい!!!」なんて感じた事がありませんでした。
おかげで、貰ってばっかりいた「まえちゃん」にもビィィィ〜ッグイサキとウスバカワハギをプレゼントする事が出来ましたし、ウチのスタッフにもお裾分けが出来ましたし、言う事無い、釣行でした。
小生にもたまにはこんなことがあります。爆!!
あ”〜ヨメが持てない位「クーラーは重かった!!」のです。爆!!
このお話は決して「作り話」ではございません!!事実!!なのです。。。爆!! |
|
|
|
|
 |
|