| 2014/05/19 |
|
三代目ヒットマンコンビ再結成する!!w |
|
|
三代目ヒットマンコンビ再結成する!!w
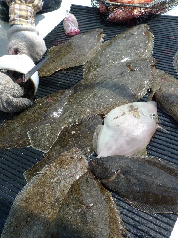
昨日、三代目ヒットマンコンビのお披露目をかねて三角東港よりピラメ釣りに興じてみました。
初代ヒットマンコンビの広島から来ましたブラックサトちゃんは歯ごたえがありましたが二代目の江の戸から来やがりやがりましたNガノ君は歯ごたえを味わう前に長崎県は出島辺りに転勤しやがりやがりました。
今回、三代目と生るFジい君は剣道3段の猛者でありますところの「一見好青年w」でした。w
大体ですね、其の方の釣行のスタイルを見ていると「性格」が良くわかります。。。w
このFジい君、集中力がキレる事無く釣り始めて、一昨日に「ピンポイント」で道具一式を揃えたばっかりの「ド」が着く初心者なのにマジ見事にピラメを釣り上げたのにはビックらこきました。。。 流石、剣道3段ですね!!
しかもこの日は「何と、なんと、ナンと!!」 いつもは「釣りきらん」Mツながくんが「ピラメ2枚、マゴチ1枚、ガラカブ3尾等々」釣果を伸ばしやがりやがられまして念願の「竿頭!!!」に生りやがりやがられました!!「快挙!!」でした。。。w
久しくこのヒットマンコンビと釣行しませんでしたのでこれから三代目ヒットマンコンビで楽しめそうです。w
写真は釣果と釣行後の「一哲」の唐揚げと生ビールとピラメのお造りでございます。。。w
さて、みなさま、また本日よりクソだるい月曜日に生り下がっております。。。
今週も気合いを入れて頑張り抜きませう!!w |
|
|
|
|
 |
|